Khu Công nghiệp Quang Minh thành phố Hà Nội
Detailed information
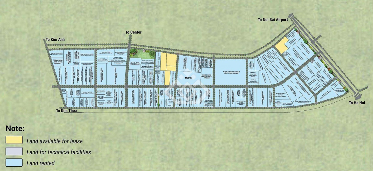
Phối cảnh Khu Công nghiệp Quang Minh thành phố Hà Nội
Khu Công nghiệp Quang Minh được thành lập tại Quyết định số 3742/2004/QĐ-UB do Chủ tịch UBND Vĩnh Phúc cấp ngày 22/10/2004 trong bối cảnh Hà Nội và các vùng phụ cận đang đẩy mạnh phát triển công nghiệp để thu hút đầu tư nước ngoài và hỗ trợ quá trình công nghiệp hóa, hiện đại hóa. Năm 2008, Hà Nội điều chỉnh mở rộng, nên Khu Công nghiệp Quang Minh thuộc địa bàn thành phố Hà Nội.
I. Tổng quan về Khu Công nghiệp Quang Minh
Với tổng vốn đầu tư 558,98 tỷ đồng, Khu Công nghiệp Quang Minh có quy mô 344,4 ha. Sau khi đi vào vận hành ổn định, dự án trở thành một trong những khu công nghiệp hàng đầu của Hà Nội về thu hút đầu tư nước ngoài, đặc biệt trong các lĩnh vực sản xuất điện tử, cơ khí và chế biến thực phẩm.
Dưới đây
xin giới thiệu về Khu Công nghiệp (KCN) Quang Minh như sau:
CHỈ TIÊU
THÔNG TIN
Tên dự án
Khu Công nghiệp Quang Minh (Quang Minh Industrial Park)
Vị trí
Thị trấn Quang Minh, thị trấn Chi Đông, huyện Mê Linh, thành phố Hà Nội
Quy mô
344,4 ha
Thời gian vận hành
50 năm (2004 – 2054)
Tỷ lệ lấp đầy
100%
Ngành nghề thu hút đầu tư
Công nghiệp lắp ráp cơ khí điện tử; chế biến thực phẩm; công nghiệp nhẹ, hàng tiêu dùng; chế biến đồ trang sức; sản xuất linh kiện điện tử chính xác, xe máy, ô tô; đồ điện gia dụng; cơ khí
Kết nối giao thông chính
Giáp cao tốc Bắc Thăng Long, cách Nội Bài ~7 km, cách TT Hà Nội ~15 km
Quy định về xây dựng
Không vượt quá 65% diện tích lô đất. Diện tích mặt sàn không vượt quá 200% diện tích lô đất. Chiều cao trung bình 1-2 tầng đối với nhà xưởng, chiều cao tối đa mỗi tầng là 4m.
Nguồn nhân lực
Dân số Hà Nội khoảng 8,6 – 8,7 triệu người, trong đó 60% dân số trong độ tuổi lao động. Chi phí nhân công khu vực I là 4.960.000 đồng/người/tháng.
II. Vị trí địa lý Khu Công nghiệp Quang Minh
Tọa lạc tại huyện Mê Linh, phía Bắc Hà Nội, KCN Quang Minh sở hữu vị trí chiến lược khi nằm giáp đường cao tốc Bắc Thăng Long – một trong những tuyến đường huyết mạch kết nối Thủ đô với các tỉnh phía Bắc, đồng thời gần sân bay quốc tế Nội Bài giúp doanh nghiệp thuận tiện di chuyển và vận chuyển hàng hóa, đặc biệt là hàng hóa xuất nhập khẩu thông qua đường hàng không và các tuyến giao thông huyết mạch như Quốc lộ 2 và Cao tốc Thăng Long – Nội Bài.
Ngoài ra, KCN Quang Minh còn nằm giáp với tuyến đường sắt Hà Nội – Lào Cai, tạo điều kiện thuận lợi cho việc vận chuyển hàng hóa bằng đường sắt. Dự án nằm ở đầu trục giao thông đường sắt và Quốc lộ 18, từ trung tâm miền Bắc ra Cảng Hải Phòng và Cảng nước sâu Cái Lân, Quảng Ninh, mở ra cánh cửa giao thương hàng hải quan trọng.
Khu Công nghiệp Quang Minh sở hữu vị trí thuận lợi khi nằm giáp cao tốc Bắc Thăng Long.
Ranh giới
Phía Bắc: Giáp khu dân cư ven sông Cà Lồ
Phía Nam: Giáp đường cao tốc Bắc Thăng Long – Nội Bài
Phía Đông: Giáp xã Kim Hoa
Phía Tây: Giáp tuyến đường sắt Hà Nội – Lào Cai
Kết nối giao thông
Cách sân bay quốc tế Nội Bài: 7 km
Cách trung tâm thủ đô Hà Nội: 15 km
Cách cảng Hải Phòng: 100 km
Cách cảng nước sâu Quảng Ninh – Cái Lân: 120 km
III. Cơ sở hạ tầng Khu Công nghiệp Quang Minh
Ngay từ khi thành lập, KCN Quang Minh đã được đầu tư mạnh mẽ vào hệ thống cơ sở hạ tầng. Các hạng mục như đường giao thông nội bộ, hệ thống điện, nước, xử lý chất thải và các dịch vụ tiện ích công nghiệp khác được xây dựng đồng bộ theo tiêu chuẩn quốc tế.
Điều kiện về đất đai
Cao độ san nền trung bình 9,8m.
Chất đất: cứng và đã san nền.
Giao thông nội bộ
Thiết kế hợp lý nhằm phục vụ cho việc đi lại, vận chuyển hàng hóa đi và đến KCN Quang Minh với hệ thống đường trung tâm rộng 36m với 4 làn xe, đường nhánh rộng 24m với 2 làn xe.
Hệ thống đường điện chiếu sáng lắp đặt trên khắp tuyến.
Đường nội bộ Khu Công nghiệp Quang Minh
Hệ thống cây xanh
Hệ thống cây xanh chiếm 10-12% diện tích toàn KCN, kết hợp giữa cây xanh tập trung và cây xanh dọc các tuyến đường tạo cảnh quan chung cho KCN.
Hệ thống cấp điện
Được cung cấp liên tục và ổn định từ tuyến điện cao thế của thành phố Hà Nội qua trạm biến áp 110/22kV với công suất 60 MVA.
Tổng công suất toàn KCN khoảng 60.000 KVA.
Mạng lưới điện được phân bố dọc các tuyến đường giao thông nội bộ, cho phép các nhà đầu tư dễ dàng xây dựng trạm hạ thế tùy theo công suất tiêu thụ của mình, đảm bảo hoạt động sản xuất không bị gián đoạn.
Hệ thống cấp nước
Nhà máy nước Quang Minh có công suất 14.000 m3/ngày đêm.
Mạng lưới đường ống dẫn nước sạch đến từng nhà máy, xí nghiệp, đảm bảo nguồn cung cấp nước luôn ổn định và liên tục.
Nhà máy cấp nước Khu Công nghiệp Quang Minh
Hệ thống xử lý nước thải
Nhà máy xử lý nước thải với công suất 7.000 m3/ngày đêm.
Toàn bộ nước thải công nghiệp và nước thải sinh hoạt được doanh nghiệp xử lý đạt tiêu chuẩn tối thiểu mức C trước khi xả ra hệ thống đường nươc thải chung của KCN Quang Minh. Sau đó, KCN sẽ tiếp tục xử lý đạt tiêu chuẩn theo Quy định của Chính phủ Việt Nam.
Nhà máy xử lý nước thải Khu Công nghiệp Quang Minh
Hệ thống viễn thông
Đạt tiêu chuẩn quốc tế sẵn sàng đáp ứng các nhu cầu thông tin liên lạc. Hệ thống cáp quang ngầm nối trực tiếp đến chân hàng rào của doanh nghiệp.
Hệ thống PCCC
Trang bị đầy đủ và các quy định của Chính phủ đảm bảo an toàn PCCC.
Hệ thống an ninh
Với đội ngũ bảo vệ chuyên nghiệp, thường xuyên tuân tra liên tục 24/24h đảm bảo an toàn về người và tài sản của doanh nghiệp.
Hạ tầng dịch vụ xung quanh Khu Công nghiệp Quang Minh cũng được đánh giá cao, cụ thể:
Nhà ở cho nhân viên
: Các dự án kí túc xá cho công nhân theo yêu cầu của người thuê.
Ngân hàng
: Martitime Bank, BIDV, Vietinbank
Bệnh viện
: KCN Quang Minh gần các bệnh viện lớn như Bệnh viện Bắc Thăng Long; Bệnh viện E Hà Nội (cách 15km)… đảm bảo phục vụ đủ nhu cầu thăm khám chữa bệnh của công nhân, nhân viên trong KCN.
Bưu điện
: Bưu điện huyện Mệ Linh (cách KCN 5km); Bưu điện xã Quang Minh (Cách KCN 2km)
Tuyến xe bus
: Bao gồm các tuyến lớn như Hà Nội – Nội Bài – Hà Nội hàng ngày từ 5 rưỡi sáng đến 22h tối.
Dịch vụ giải trí, chăm sóc sức khỏe, tiện ích, spa, siêu thị, sân Golf, khu thể thao…
IV. Chi phí đầu tư trong Khu Công nghiệp Quang Minh
Khu Công nghiệp Quang Minh hiện đã đạt tỷ lệ lấp đầy 100%.
Phí quản lý CSHT
: 0,35 USD/m2/năm, thanh toán hàng năm
Giá điện
: 0,03-0,1 USD/kWh, tùy theo giờ sử dụng
Giá nước sạch
: Khoảng 11.500 VNĐ/m
3
Phí xử lý nước thải
: Mức A: từ 0,15 USD/m
3
. Mức B: từ 0,45 USD/m
3
. (Chưa bao gồm thuế VAT)
V. Chính sách ưu đãi đầu tư tại Khu Công nghiệp Quang Minh
Các doanh nghiệp trong KCN Quang Minh được hưởng chính sách ưu đãi đầu tư như sau:
Thuế Thu nhập doanh
nghiệp
: Miễn thuế thu nhập doanh nghiệp trong 2 năm đầu, sau đó được giảm 50% thuế suất trong 4 năm tiếp theo. Thuế suất áp dụng 10% trong 15 năm đầu.
Thuế nhập khẩu
: Miễn thuế nhập khẩu đối với các loại máy móc, thiết bị, nguyên liệu, vật tư cần thiết cho dự án đầu tư trong giai đoạn xây dựng cơ bản. Các vật tư không thể sản xuất trong nước cũng thường được hưởng ưu đãi này trong suốt thời gian thực hiện dự án.
VI. Danh sách công ty tại Khu Công nghiệp Quang Minh
Với vị trí thuận lợi và hạ tầng hoàn thiện, KCN Quang Minh đã nhanh chóng thu hút được nhiều nhà đầu tư nước ngoài, đặc biệt là từ Nhật Bản, Hàn Quốc, Đài Loan, Malaysia và các nước châu Âu. Các ngành công nghiệp chính tại đây bao gồm sản xuất điện tử, cơ khí chính xác, chế biến thực phẩm, dệt may và công nghiệp phụ trợ. Một số nhà đầu tư lớn hoạt động hiệu quả tại khu công nghiệp, tạo dấu ấn trên thị trường trong nước và xuất khẩu, bao gồm: các doanh nghiệp FDI như Công ty Cổ phần Sowa Việt Nam, Công ty TNHH Synopex Việt Nam (Nhật Bản), Công ty TNHH Dae Sun Việt Nam (Hàn Quốc); và các doanh nghiệp trong nước như Công ty TNHH Hảo An Phát, Công ty Cổ phần Bao bì Thủ đô, Công ty Cổ phần Bia tươi Hà Nội.
Khu Công nghiệp Quang Minh đã thu hút được gần 200 dự án đầu tư thứ cấp, tạo việc làm cho hàng nghìn lao động tại địa phương.
Đến nay, dự án KCN Quang Minh đã đạt tỷ lệ lấp đầy 100%, thu hút 181 dự án đầu tư thứ cấp, được coi là một trong những điểm đến hấp dẫn nhất để đầu tư của doanh nghiệp sản xuất khu vực phía Bắc. Các doanh nghiệp trong KCN Quang Minh đã đóng góp lớn vào ngân sách nhà nước thông qua các hoạt động sản xuất, kinh doanh và xuất khẩu. Điều này đã góp phần thúc đẩy sự phát triển kinh tế – xã hội của huyện Mê Linh và Thủ đô Hà Nội.
Dưới đây là danh sách doanh nghiệp đang hoạt động trong KCN Quang Minh:
STT
Tên doanh nghiệp
STT
Tên doanh nghiệp
1
Công ty Cổ phần Nội thất Tân Quang Minh
66
Công ty TNHH Hong Dang Việt Nam
2
Công ty Cổ phần Ống thép Hà Nội
67
Công ty TNHH Megatech Việt Nam
3
Công ty Cổ phần Kim loại Viễn Đông
68
Công ty TNHH Siam Recycling System
4
Công ty TNHH Bee Vina Tech
69
Công ty TNHH BLD Vina
5
Công ty TNHH Ryowa Hà Nội
70
Công ty TNHH Chế tạo máy và thiết bị công nghiệp CIE2
6
Công ty TNHH Đầu tư Tây Hồ – Vĩnh Phúc
71
Công ty Cổ phần Bao bì thủ đô
7
Công ty TNHH Kwong Ming Electrical (Việt Nam)
72
Công ty Cổ phần Kỹ thuật và xây dựng phòng sạch Chun Woo
8
Công ty Cổ phần In Kỹ thuật số ITC
73
Công ty TNHH Kim Khí Dong Shin Việt Nam
9
Công ty TNHH Khoa học Kỹ thuật Sunray Việt Nam
74
Công ty TNHH CSM Việt Nam
10
Công ty TNHH Kho lạnh Quang Minh
75
Công ty TNHH CMS Vina
11
Công ty Cổ phần Tập đoàn Cốm Việt Nam
76
Công ty Cổ phần liên doanh sản xuất nhôm Việt Pháp SHAL
12
Công ty TNHH Sản xuất & Thương mại Dato Việt Nam
77
Công ty Cổ phần Eurowindow
13
Công ty Cổ phần Vitrac Hà Nội
78
Công ty TNHH Trang thiết bị y tế Phương Minh
14
Công ty TNHH Solar An Việt
79
Công ty TNHH Vina O’shoe
15
Công ty TNHH Thiên Việt Technology
80
Công ty TNHH Kom Việt Nam
16
Công ty TNHH Khuôn mẫu HNC
81
Công ty TNHH Ohmi Việt Nam
17
Công ty Cổ phần Đầu tư và Phát triển Giáo dục DLG
82
Công ty TNHH Unitec
18
Công ty Cổ phần CNC Pharma Việt Nam
83
Công ty Cổ phần Cơ khí chính xác Hưng Phát
19
Công ty Cổ phần Công nghệ Đúc CN Việt Nam
84
Công ty TNHH KL Technologies
20
Công ty Cổ phần Sản xuất Bao bì Đại Lực Quang Minh
85
Công ty Cổ phần Sản xuất Kim khí SKP
21
Công ty Cổ phần Dịch vụ Quản lý Vận hành Khu Công nghiệp IMC
86
Công ty TNHH Hard Coat Việt Nam
22
Công ty Cổ phần Proschem Việt Nam
87
Công ty TNHH Gwan Chian Industrial Việt Nam
23
Công ty TNHH Ngũ Kim Minh Thuận
88
Công ty TNHH Sayen Việt Nam
24
Công ty Cổ phần Bia tươi Hà Nội
89
Công ty Cổ phần Cơ khí Công nghiệp Việt Nam
25
Công ty TNHH Công nghệ GDS Vina
90
Công ty TNHH Một thành viên Bia rượu Eresson
26
Công ty TNHH Công nghiệp TST Vina
91
Công ty TNHH Tiếp vận Kintetsu Việt Nam
27
Công ty TNHH May mặc xuất khẩu VIT Garment
92
Công ty Cổ phần Việt Thành
28
Công ty TNHH Sung Jin T.S Vina
93
Công ty TNHH Điện tử ASTI Hà Nội
29
Công ty TNHH Tam Bảo An
94
Công ty TNHH Đầu tư Sản xuất và thương mại Gia Phú
30
Công ty Cổ phần Đầu tư và xây dựng cầu đường số 18.6
95
Chi nhánh Công ty Cổ phần Lilama 3
31
Công ty TNHH Công nghệ Sơn tĩnh điện Tầm nhìn
96
Công ty TNHH Nippon Paint Việt Nam (Hà Nội)
32
Công ty TNHH Inkel Việt Nam
97
Công ty TNHH Dược phẩm Phúc Hưng
33
Công ty TNHH Điện tử Meiko Quang Minh
98
Công ty TNHH Hokuyo Precision Việt Nam
34
Công ty TNHH Daewoo TEC
99
Công ty TNHH Khóa Huy Hoàng
35
Công ty TNHH SIBV
100
Công ty TNHH Hệ thống năng lượng tại Việt Nam
36
Công ty TNHH Top D&P Vina
101
Công ty TNHH Thương mại Trương Kiều
37
Công ty TNHH Điện tử Lập Tín
102
Công ty TNHH Xuất nhập khẩu Minh Tuấn
38
Công ty Cổ phần Sản xuất và Xuất nhập khẩu Đại Nam
103
Công ty TNHH Inoac Việt Nam
39
Công ty Cổ phần Ohara Press Việt Nam
104
Công ty Cổ phần Tatico Việt Nam
40
Công ty TNHH KYC
105
Công ty TNHH Công nghệ Muto Hà Nội
41
Công ty Cổ phần Kho vận chuyên nghiệp ETC
106
Công ty TNHH Ngân Giang Thiết bị điện G7
42
Công ty Cổ phần Eco Nam Dũng
107
Công ty TNHH Fit Active Việt Nam Precision
43
Công ty Cổ phần Đầu tư Xây dựng Phát triển Thủ đô
108
Công ty Cổ phần Galaxy Việt Nam
44
Công ty Cổ phần Sản xuất và Phát triển công nghiệp Việt Nhật
109
Công ty TNHH Chế tạo động cơ Zongshen Việt Nam
45
Công ty Cổ phần Thông minh MK
110
Công ty Cổ phần Đầu tư và Thương mại Tổng hợp Quang Minh
46
Công ty Cổ phần 5 Stars
111
Công ty TNHH Bắc Thăng Long II
47
Công ty TNHH Dịch vụ In Tài chính
112
Công ty Cổ phần Công nghiệp Hà Nội
48
Công ty TNHH Sản xuất Thương mại Xuất nhập khẩu Huho Hardware Việt Nam
113
Công ty Cổ phần Cao su AVI
49
Công ty TNHH Khoa học kỹ thuật Xi mạ Hằng Cơ
114
Công ty TNHH Chun Fun
50
Công ty TNHH Kỹ thuật Kim loại Lihai
115
Công ty TNHH Moldpia
51
Công ty Cổ phần Công nghiệp Smart Việt Nam
116
Công ty TNHH Sợi dệt Vĩnh Phúc
52
Công ty Cổ phần Vật tư ngành nước Vinaconex
117
Công ty Cổ phần Sản xuất và thương mại Phúc Tiến – Vĩnh Phúc
53
Công ty TNHH Công nghệ T&T
118
Công ty TNHH Dệt may Linh Phương
54
Công ty Cổ phần Tôn mạ Vnsteel Thăng Long
119
Công ty Cổ phần Thép Việt Thanh
55
Công ty TNHH Channel Well Technology Việt Nam
120
Công ty TNHH Tràng An
56
Công ty TNHH Cơ khí Linh kiện Xi mạ Hân Quán
121
Công ty TNHH Một thành viên cơ khí Mê Linh
57
Công ty TNHH Sản xuất và Thương mại Picenza Việt Nam
122
Công ty Cổ phần Sữa Hà Nội
58
Công ty TNHH Xuất nhập khẩu Hương Bùi – Việt Nam
123
Công ty TNHH Hanwa SMC Steel Service Hà Nội
59
Công ty Cổ phần Đầu tư – Xây dựng – Giao thông
124
Công ty Cổ phần HTMP Việt Nam
60
Công ty TNHH Thực phẩm Minh Hiền
125
Công ty TNHH Elentec Việt Nam
61
Công ty TNHH Công nghệ Thép và Xử lý nhiệt Hanotech
126
Công ty TNHH Kolen Vina
62
Công ty TNHH Milestone
127
63
Công ty Cổ phần Dược phẩm Sao Kim
128
64
Công ty TNHH Phong Nam Sinhirose
129
65
Công ty Cổ phần Sản xuất và thương mại Tân Đức
130
Nhà máy chế tạo khuôn mẫu diện tích 20.000m2 của Công ty Cổ phần HTMP Việt Nam tại KCN Quang Minh
Nhà máy sản xuất của Công ty TNHH Elentec Việt Nam và Công ty TNHH Kolen Vina tại KCN Quang Minh
hy vọng có thể cung cấp thông tin hữu ích tới Quý độc giả.
– Tư vấn và xúc tiến đầu tư bất động sản công nghiệp
Khu Công nghiệp Hà Nội
, liên hệ ngay với chúng tôi qua:



